Жителям ростовского жилого комплекса «Вертолётное поле» (район бывшего вертолётного поля ДОСААФ) наконец-то обещают построить подъездную 500-метровую дорогу. Проект разработан. Правда, денег, как и пять лет назад, на неё нет.
Строительство дороги на Тружеников перенесли на 2024 год, но если выделят деньги
Жители «Вертолётного поля» с 2014 года, то есть практически с самого заселения, жалуются на отсутствие подъездных дорог к их микрорайону. Одно время горожане публиковали петиции на сайте администрации, требуя обратить внимание на эту проблему.
Жилой район «Вертолётное поле» построен на территории бывшего аэродрома ДОСААФ. В строительстве комплексов участвовали разные строительные компании, поэтому в состав микрорайона входят такие ЖК, как «Семейный», «Сокол на Батуринской», «Три сквера» и другие.
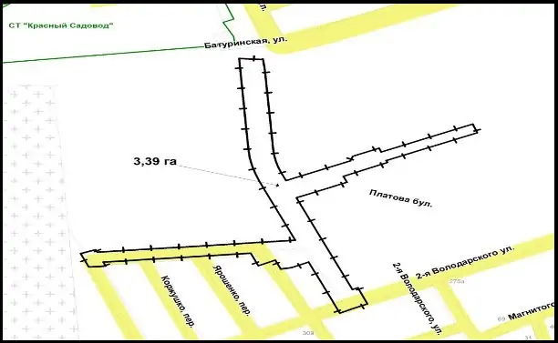
Одна из самых многострадальных подъездных дорог — на Тружеников от 2-й Краснодарской до Батуринской. Путь представляет собой просто земляную насыпь. И при любом небольшом дожде этот участок дороги превращается в месиво из грязи.
Добавим, что этот участок один из самых важных: если его построить, то заезжать в микрорайон можно сразу с проспекта Стачки.
В 2018 году в дирекции по строительству объектов транспортной инфраструктуры на запрос ростовчан сообщали, что продление Тружеников от 2-й Краснодарской до Батуринской предусмотрено генпланом города. Но проблема с этим участком крылась в нехватке 5,3 млн рублей в бюджете на разработку проектной документации на реконструкцию. Чиновники пообещали, что «рассмотрят изготовление проекта при формировании дорожной программы на 2019-2020 годы».
Подготовку к проекту начали в обещанные сроки, но вот разработали его, видимо, совсем недавно.
Администрации Ростова в ответе на запрос donnews.ru сообщила, что проект разработан, положительное заключение госэкспертизы получено. Дорогу планируют построить за счёт денег из областного бюджета и софинансирования бюджета города.
«При выделении денег, проект планируется реализовать в 2024 году», — сказано в ответе.
К слову, спустя пять лет участок на Тружеников от 2-й Краснодарской до Батуринской по-прежнему представляет из себя земляную засыпь, где могут пройти только пешеходы.
Ещё одну дорогу к «Вертолётному полю» никак не могут оформить в собственность
Уточним, что жители «Вертолётного поля» просят не только о строительстве новой дороги, но и о ремонте существующих подъездных улиц. Речь идёт о другом участке по Тружеников от Батуринской до 2-й Володарской.
Ужасное состояние этого участка власти Ростова объясняли тем, что она не находится на балансе города. Поэтому и ремонтировать они её не могут. Летом 2022 года бизнесмен и действующий тогда депутат Законодательного собрания Арутюн Сурмалян сообщал, что департамент автомобильных дорог оформил дорогу в собственность. Реконструировать её обещают до конца 2022 года.
Но спустя год участок улицы так и не отремонтирован: дорога покрыта выбоинами, где- то немного присыпана щебёнкой. Более того выяснилось, что дорога по Тружеников от Батуринской до 2-й Володарской всё ещё бесхозная. В ответе на запрос сказано, что департамент имущественно-земельных отношений только формирует исковое заявление в суд о «признании права муниципальной собственности».
И только после того, как суд вынесет решение, дорогу оформят в собственность. Затем департамент автомобильных дорог займётся её переводом из грунтового типа покрытия в капитальный. Сроки неизвестны.
У жителей «Вертолётного поля» может появиться дорога, правда не подъездная
В сентября этого года стало известно, что ООО СЗ «Галактика», которой руководит уже бывший депутат Заксобрания Арутюн Сурмалян, к сентябрю 2024 года планируют разработать проект планировки и межевания под будущую дорогу, которая пройдёт от Тружеников до 3-й Круговой. Сейчас на это месте пустырь.
Ещё одна дорога рядом с жилым комплексом должна появиться в переулке Мушкетова. Её строительством также займётся «Галактика».
Очевидно, что это связано с тем, что на «Вертолётном поле» у компании находится жилой комплекс «Сокол на Батуринской». Восемь домов ввели в эксплуатацию ещё в 2016 году.
К слову, разбитые дороги не единственная проблема жителей «Вертолётного поля». Жилой район страдает от отсутствия общественного транспорта, школы, детских садов.
Наталья Подольская
Поделиться:
8,2 м/c
77%
753 мм рт. ст.

